|

por Editores Sott
18 Abril 2011
traducción por
El Averiguador
del Sitio Web
Sott
Versión en Ingles
Para aquellos que están prestando estricta atención de izquierda a
derecha, el 2010 será recordado como el año en el que se cruzó una
gran línea y la puerta se ha cerrado detrás de ella.
Es la humilde
opinión de los editores que el dado ya fue arrojado y el destino de
la tierra está sellado.
Las señales estaban allí:
-
La total despreocupación de los gobiernos por los derechos de los
pasajeros aéreos y ciudadanos, y la abierta arrogancia de la
imposición de medidas Orwellianas.
-
La continuación de más trucos absurdos de falso-terrorismo para
atemorizar a la gente y que esta obedezca.
-
La furia cada vez más violenta de las masas en las calles, como
resultado de la presión económica y otras formas de abuso de las
altas esferas
-
La gran simplicidad con la cual los medios globales cubrieron,
diluyeron y distorsionaron las aspiraciones de los buscadores de la
verdad política a través del espectáculo de Wikileaks, y la obvia
omisión de Israel en tales 'filtraciones'.
-
La tímida oposición del mundo ante crímenes contra la humanidad como
el genocidio abordo del Mavi Marmara
-
Y las campañas imperiales vigentes de las potencias occidentales en
el Medio Oriente y Asia.
Fue particularmente desastrosa la reacción en cadena generada por el
ecocidio de BP en el Golfo de México - cortesía de la psicopatía
corporativa y la complicidad de nuestros gobiernos - esta decadencia
podría influir de manera significativa en el clima global y derivar
en una era de hielo mediante la perturbación de las corrientes
oceánicas, y en consecuencia, las corrientes de los vientos.
Se dice
que la corriente del Bucle del Golfo ya está rota, perturbando el
Flujo Jet del norte y causando otro duro invierno para gran parte
del hemisferio norte.
Realmente es especulativo atribuir los metros de nieve en EE.UU. y
Europa al derrame en el Golfo, pero si observas la evidencia
concreta que tienes frente a ti sobre la escala sin precedentes del
desastre, tan solo pregúntale a los miles de residentes locales y
trabajadores del derrame que viven sobre la costa del Golfo desde
Texas hasta Florida.

Un faro cubierto de hielo
- ¿Simbólico?
Pero el petróleo en el Golfo de México es tan solo uno de los
factores.
Creemos que estamos siendo testigos del comienzo de un
dramático episodio de la historia humana relacionado con el cambio
climático dentro del sistema solar.
Lo vemos en las señales
ignoradas por la mayoría: cometas, bolas de fuego y cambios en la
atmósfera.

Un gran tsunami golpea la costa de Iwanuma,
Prefectura de Miyagi,
noreste de Japón el 11 de marzo de 2011.
Mientras tanto, de manera ciertamente simbólica, el Anillo de Fuego
alrededor del Océano Pacífico está temblando violentamente,
generando tantas erupciones volcánicas y terremotos que ya hemos
perdido la cuenta.
El potencial para el desastre es terrorífico como
ya lo han demostrado los recientes eventos en Japón.
La
infraestructura humana es frágil y un golpe directo a una
instalación clave - como la planta de energía nuclear de Fukushima -
puede eliminar efectivamente todo vestigio de vida humana en áreas
enteras, Fukushima se está transformando en el 'derrame de petróleo'
del 2011, uno que hasta el momento luce incluso más oscuro que el
del Golfo de México.

Autoridades con trajes de protección buscan señales de radiación
en
niños del área evacuada cercana a la planta nuclear de Daini
Fukushima en Koriyama
Pero mientras pensamos en el presente y en lo que queda de nuestro
futuro, vayamos hacia atrás y recapitulemos el 2010...
¡Atando Cabos
estuvo inactivo por un tiempo y hay mucho para actualizar!
Clima Global Año Cero
Más de un cuarto de millón de personas
murieron por desastres
naturales en el 2010.
Terremotos, olas de calor, inundaciones,
volcanes, súper tifones, tormentas de nieve, deslizamientos de
tierras y sequías se llevaron las vidas de más personas que las
asesinadas en todos los actos terroristas de los últimos 40 años
juntos - un hecho poco conocido que deja en ridículo a la propaganda
de la Guerra contra el Terrorismo.
Este fue el año más mortífero en términos de catástrofes naturales
en toda una generación, y no, no somos entusiastas de la disparatada
religión del calentamiento global. Las últimas y extremas nevadas
del invierno pasado y las bajas temperaturas récord cuentan una
historia muy diferente a la revolución de falsa bandera 'Ser Verde'
liderada por
Al Gore y Compañía.
Claramente, el aumento tanto de la intensidad como de la frecuencia
de los terremotos nos dice que necesitamos expandir nuestro
entendimiento más allá de los habituales límites antropogénicos
reconocidos.
Algunas personas con acceso a información privilegiada
parecen estar oliendo el café; un
informe del gobierno inglés
escrito por Paddy Ashdown, miembro de la Cámara de Representantes,
advierte sobre mayores desastres como el terremoto y tsunami japonés,
así como también la inundación sin precedentes de Pakistán, tienen
grandes probabilidades de hacerse más frecuentes, instando a los
gobiernos a prepararse para un "futuro incierto".
Agregó que los científicos creen que los recientes desastres
naturales no fueron una aberración, sino,
"el comienzo de una nueva
clase de futuro en el cual los mega desastres serán más frecuentes".
Lejos de sorprender, el
informe de Lord Ashdown es sumamente vago
cuando se trata de brindar las razones de este pronunciado aumento
de la tendencia a las catástrofes naturales:
Las razones para esto son muchas. El rápido crecimiento de la
población, especialmente en áreas propensas a sufrir desastres, es
un factor clave, principalmente cuando se lo combina con una masiva
y constante urbanización, en gran parte sin planificar y poco segura.
También existen cambios en los niveles del mar, y en las lluvias
globales y patrones de tormentas - cambios que contribuirán a una
significativa presión adicional por los alimentos y el agua en los
próximos años.

Un auto enterrado en nieve mientras la gente intenta sacarla
en East Village, Manhattan, 27 de diciembre de 2010 en Nueva York.
Una
tormenta de nueve impactó en la Costa Este de EE.UU. con 50 cm de
nieve
en Ciudad de Nueva York paralizando un viaje post-Navidad.
Mientras que el informe hace referencias superficiales sobre el
calentamiento global - "cambios en los niveles del mar" - no explica
porqué los terremotos y tsunamis serían más frecuentes.
Esta omisión
es tan evidente que el lector querrá preguntarse si algo fue editado.
También es interesante que una búsqueda de la frase "calentamiento
global" en el informe no encontrará esas palabras juntas ni una sola
vez.
Claramente, las autoridades están evitando el concepto ahora que la
gente ha experimentado una muestra del rebote glacial.
Mientras que el invierno 2009-2010 fue duro, el 2010-2011 resultó
ser más frío y con más nevadas. Entre los lugares que sufrieron
temperaturas récord o cercanas encontramos a,
-
Siberia
-
Australia
-
Irlanda
-
Gran Bretaña
-
California
-
Las Vegas
-
China
-
Hong Kong
-
Tailandia
-
Cuba
-
Nueva Zelanda
-
Edmonton
Observando estas
estadísticas, nos resulta risible que el año 2010 haya sido
anunciado como el "año más cálido de la historia".
Más importante que la menos-que-científica metodología que apoya la
decadente teoría del calentamiento global, es la eliminación de los
informes de temperaturas de estaciones climáticas ubicadas en
lugares más fríos, no-urbanos y más al norte.
Los adeptos al
Calentamiento obtienen placer recordándonos de este o aquel glaciar
que se está hundiendo, mientras que ignoran por completo aquellos
que en realidad están aumentando su tamaño, como los
glaciares del
Monte Shasta, y no informan sobre el aumento de
70 trillones de
metros cúbicos de hielo en el Mar Ártico.
Nuestros lectores norteamericanos no necesitan ser convencidos sobre
la realidad del enfriamiento global: tuvieron
butacas en primera
fila para una sucesión de
tormentas de nieve que rompieron récords.

Imágenes del satélite Terra de la NASA muestran una gigantesca
tormenta invernal
que enterró a más de un tercio de los
EE.UU. con
nieve, aguanieve y hielo.
La siguiente imagen es de comienzos del 2011:

Un nuevo mapa satelital de la agencia del gobierno NOAA
muestra la
extensión de nieve que cubre una gran área desde
la costa oeste de
Canadá hasta el este de China.
La nieve en el hemisferio norte siguió cayendo en primavera.
Grecia
y Turquía tuvieron un espectáculo tardío en marzo, Nueva Inglaterra
tuvo una fuerte nevada el Día de los Inocentes y Arizona recibió 25
cm de nieve el 9 de abril.
En todo el 2010, las inundaciones y lluvias torrenciales afectaron
los climas más cálidos. Río de Janeiro sufrió la mayor inundación de
su historia el último abril. Ese mismo mes, Tennessee experimentó
repentinas
inundaciones récord con más de 40 cm de lluvia en dos
días, transformando las autopistas en ríos y produciendo masivas
evacuaciones en Nashville. Un gran ciclón en el este de India mató
al menos a 140 personas y también dejó a 500,000 sin hogar.
En términos de inundaciones, la peor sucedió en Pakistán, que tuvo a
un tercio de su territorio sumergido y mas de cuatro millones de
personas afectadas, en una catástrofe que fue considerada como la
peor crisis humanitaria que se haya producido.
Al mismo tiempo que sucedían las inundaciones en Pakistán, Rusia
experimentó una
severa ola de calor.
Incendios en el oeste de Rusia
obligaron al país a prohibir las exportaciones de trigo. Teniendo en
cuenta que Rusia es el tercer mayor exportador de trigo, el impacto
en los precios mundiales de los alimentos fue duro. La ola de calor
finalizó dramáticamente con el paso de un huracán por toda Rusia.
Se
indicó que las causas de las anomalías meteorológicas en Rusia y
Pakistán fueron a causa de
patrones en el Flujo Jet, una explicación
que resurgió al explicar las severas condiciones invernales de
diciembre en el hemisferio norte.
¿Qué es lo que está trastornando los patrones del clima al punto de
'bloquear' el Flujo Jet? Creemos que nuestra reciente investigación
brinda algunas posibles respuestas.
Un poco de perspectiva
El aumento de eventos climáticos extremos mencionados arriba pueden
comprenderse en el contexto de teorías que consideran los sucesos
cósmicos.
Una de ellas es
la teoría de James McCanney que propone
que la interacción electromagnética entre los planetas, lunas,
cometas y el sol resultan en tremendas descargas de energía que
impactan directamente en nuestro clima.
El editor de Sott, RyanX,
habla de una conexión cósmica en los Cambios Terrestres en enero y
febrero del 2011:

US Geostationary Satellite
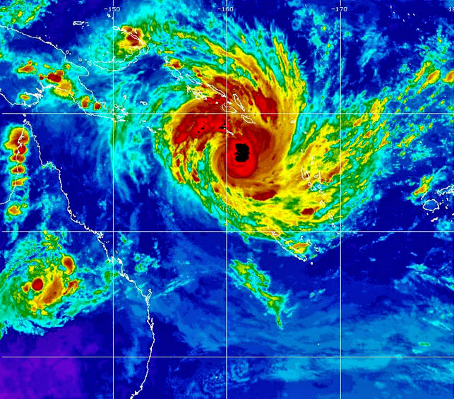
El ciclón Yasi acercándose a Australia.
Los sucesos recientes nos proveen un excelente caso de estudio de
las fuerzas cósmicas que podrían estar detrás de grandes tormentas
como los ciclones, huracanes, tormentas de nieve y mucho más.
Los
recientes eventos de los que hablo incluyen la mayor tormenta de
nieve que haya caído en el centro oeste y el este de EE.UU. así como
también el castigo del
Ciclón Yasi sobre el este de Australia a
comienzos de esta semana.
Ambas tormentas desarrollaron enormes tamaños durante un período de
tiempo que coincidió con una tormenta solar que azotó a la Tierra
después de la Luna Nueva. Aunque pueda parecer extraño, esta no es
la primera vez que estos alineamientos celestiales en conjunto con
la actividad solar han causado eventos tales.
Si existe una relación entre estos factores, según sospechamos,
entonces esto da en gran parte una vuelta a lo que comúnmente se
cree sobre el clima terrestre y, como veremos, incluso de la
geología.
Para comprender cómo funciona todo esto, empecemos con el sol. El 31
de enero se abrió un
gigantesco hoyo coronal en el sol, arrojando
otro mazazo de partículas cargadas en dirección a la tierra. Se
esperaba que nos golpee entre el 2 y el 4 de febrero. No solo esto,
sino que recientemente experimentamos una luna nueva el 2 de febrero.
Pero uno se preguntará, ¿qué tiene de importancia la luna aquí?
Según explica
James McCanney en una
entrevista que hizo para Spectrum Magazine en el 2003:
La Luna [Nueva] se ubica al frente de la Tierra, interrumpe ese
flujo eléctrico [entre el sol y la Tierra], y luego sigue su camino.
Esto genera un gran bombardeo luego que la Luna se aparta del camino,
el primero y segundo día después de la Luna Nueva.
Esa es la
condición que ha sido identificada como una de las causas
principales de los grandes huracanes y tormentas.
Lo que hace es: La
Luna interactúa con el campo eléctrico solar. Es ese CAMBIO el que
genera las tormentas, y produce modificaciones en el ambiente
alrededor de la Tierra, afectando, en consecuencia, al clima
terrestre.
Entonces la imagen que estamos pintando es la siguiente:
El sol
expulsa un frente masivo de viento solar en dirección a la Tierra.
Al moverse fuera del camino entre el sol y la Tierra, la Luna Nueva
genera un importante aumento de partículas cargadas que impactan
sobre la Tierra. Con el exceso de partículas cargadas de esta
tormenta solar que nos golpea casi simultáneamente, todo este exceso
de carga termina en los cinturones de radiación que rodean a la
Tierra.
Luego, la Tierra encuentra formas de descargar este desequilibrio
como por ejemplo estas dos grandes tormentas que hemos visto. Una de
ellas adopta la forma de una gigantesca tormenta de nieve que cubre
la mitad de EE.UU.. La otra toma la forma de un ciclón, el Yasi, que
golpea a la ya inundada costa este de Australia.
También se ha
notado un aumento de la actividad volcánica y de terremotos durante
este período.
Podemos complementar la teoría con el siguiente escenario hipotético.
Existe una correlación entre la actividad eléctrica del sol y los
planetas, y un aumento de material en el interior del sistema solar
en forma de polvo cometario y cometas.
Como resultado del ingreso de
partículas la atmósfera superior de la Tierra se enfría, explicando
las recientes anomalías atmosféricas observadas, tales como las
nubes noctilucentes y
espirales generadas por la caída de residuos,
mientras un incremento en la actividad volcánica calienta partes del
océano desde abajo - todo lo cual contribuye al caos climático.
¡Más
sobre este tema en Fuego en el Cielo!
El cambio climático producido por los psicópatas

Indefenso
un pelícano apoyado tristemente sobre la costa
con sus
alas tan cubiertas de petróleo que es incapaz de volar.
Lo cual no quiere decir, por supuesto, que la gente común no haya
contribuido al cambio climático en cierta medida, aunque es mínimo.
Como siempre, la verdadera historia no es la que nos han contado.
Bajo el modelo del calentamiento global antropogénico, seguramente
culparán a personas como tú y yo por usar coches y aviones.
En realidad, es nuestro depredador psicopático intra-especie el
mayor culpable del caos que resulta de su egoísta objetivo de tomar
todo lo que pueden en el menor tiempo y con el menor esfuerzo
posible.
Nos acercamos al primer aniversario de la explosión que derribó la
plataforma petrolera Deepwater Horizon de British Petroleum en el
Golfo de México en abril del 2010, enviando una columna de fuego
hacia el cielo y llevándose las vidas de 11 trabajadores. Causado en
gran parte por negligencia humana y avaricia, el accidente fue de
mal en peor mientras millones de litros de petróleo brotaban al mar
descontroladamente.
Más preocupados por la imagen que por los hechos, los directivos
psicopáticos de BP corrieron a arrojar el dispersante tóxico Corexit,
enviando el petróleo al fondo del océano en lugar de limpiarlo, y
creando en el proceso una mezcla incluso
más mortal que el petróleo.
Con la complicidad del gobierno norteamericano, al público le
dijeron que la filtración había sido finalmente controlada - algo
difícil de creer considerando la dificultad de trabajar a una
profundidad de 1500 metros y con un hoyo perforado de 9000 metros
dentro de la corteza terrestre, luego de impactar un compartimento
de petróleo de alta presión, y considerando especialmente que hubo
informes de más de una filtración, a kilómetros unas de otras.
Sin embargo, las imágenes de playas y pelícanos cubiertos de
petróleo llegaban cada vez menos a la audiencia; los Obamas dijeron
que habían ido a por un divertido chapuzón en el mar, cerrando la
mentira por completo.
Ojos que no ven, corazón que no siente; los
relaciones públicas y los medios se unieron para enterrar la verdad
sobre el derrame del petróleo del Golfo. Esto es, ocultar las cosas
lisa y llanamente bajo la arena en una escala genocida.
Observen el trágico testimonio de esta trabajadora de la limpieza,
que debió haber llegado a las noticias centrales de las 6 pm, cosa
que no sucedió. Ella
no es la única en esta situación.
Lord Stirling
estaba en lo cierto al sospechar que la gran cantidad
de petróleo afectó el Flujo del Golfo, lo cual alteró los habituales
patrones del Flujo Jet dándonos el espectáculo de invierno
mencionado más arriba.
Incluso aunque la naturaleza nos haya
brindado una previa antes de la era de hielo propiamente dicha, el
hecho sigue siendo que hacia allí nos estamos dirigiendo.
Mientras el petróleo permanezca en las corrientes oceánicas, ¿cómo
puede no afectar sus movimientos? De gran importancia es el informe
científico que proveyó evidencia de una anomalía en la corriente del
Bucle del Golfo.
El Bucle del Golfo está conectado al Flujo del
Golfo, si el Flujo del Golfo se interrumpe, partes del hemisferio
norte se verán inmersas en una era de hielo.
Invasión de terremotos
2010 fue un año de poderosos terremotos. Observen esta interesante
tabla, tomada de
este artículo de Holly Deyo:

terremotos 2010
Vean que el 2010 tuvo una cantidad de terremotos moderados o fuertes,
iguales o más potentes que el promedio de las últimas dos décadas.
En particular, la cantidad de muertes fue mucho mayor que el
promedio.
El 2010 empezó con un terremoto devastador en Haití el 12 de Enero.
Registrando 7.0 en la escala de Richter, acabó instantáneamente con
más de 150,000 personas.
Como habitualmente la tragedia llama a la
tragedia, aquí la destrucción sirvió como excusa para una invasión y
arrebato norteamericano de facto del país, con una flota de barcos
de guerra, portaviones, helicópteros y
20,000 soldados apoyados por
contratistas del Pentágono que ofrecieron "escoltas armadas para
cargamentos" y "amenazas de muerte" hacia "ladrones" y en "conflictos
con trabajadores".
Obama decidió enviar a
George W. Bush y a
Clinton como "enviados
especiales humanitarios". Una curiosa elección si quieres brindar
algo de ayuda.
Pero no tan extraña si quieres administrar una
ocupación.

Invasión Chickenhawk:
soldados norteamericanos aterrizan en el
jardín del Palacio Presidencial en Puerto Príncipe
luego de ser
demolido por la fuerza de la naturaleza.
¿O fue por otra cosa?
Ahora, aquí tenemos algo aún más extraño: el ejército norteamericano
condujo un "escenario de ayuda en caso de desastre" en Haití un día
antes del terremoto.
La Agencia de Sistemas de Información Defensiva
el Pentágono (DISA) se encontraba en los cuarteles del Comando Sur
Norteamericano en Miami preparándose para correr una "simulación"
que incluía la entrega de ayuda a Haití luego del paso de un huracán.
Al día siguiente sucede el terremoto, y el Comando Sur decide "salir
en vivo" con el sistema de respuesta militar integrado que
supuestamente estaba "ensayando".
Semejante y
extraordinaria coincidencia nos enfrenta a una difícil elección.
O
nos creemos que el ejército norteamericano tiene el poder de
predecir terremotos con espectacular precisión, o tiene el poder de
inducir terremotos a voluntad. O es un golpe de 'suerte' de uno en
un millón de esos que son tan comunes cuando EE.UU. y/o sus aliados
tienen algo que ganar. Tú decides; simplemente les pedimos que no lo
olviden.
Luego sucedió el catastrófico
terremoto de 8.8 en Chile la noche del
27 de febrero. Fue el más fuerte registrado allí en más de 50 años y
se llevó las vidas de al menos 555 personas. Como habrán previsto,
el ejército chileno, adoptando la línea establecida por EE.UU. y las
fuerzas de la ONU en Haití, tomó el control de las ciudades
afectadas, imponiendo toques de queda y protegiendo comercios bajo
el pretexto de salvaguardarlos de los "robos".
Otros temblores menos destructivos en el 2010 incluyeron conjuntos
de terremotos récord en Yellowstone y en la Falla de Nueva Madrid en
EE.UU. culminando con el peor terremoto en 35 años para la región, un
4.7 en Arkansas. Christchurch, Nueva Zelanda, tuvo un preludio de lo
que fue el golpe directo del 2011 cuando un
terremoto de magnitud 7
impactó a unos 30 Km. al sur de la ciudad en septiembre.
El último
causó daños generalizados incluyendo el colapso de algunos edificios.
El 22 de febrero del 2011, uno más "pequeño" de 6.3 golpeó la ciudad
de Christchurch. Casi la mitad de la ciudad quedó en ruinas.
El daño
a los edificios fue comparable al observado en Puerto Príncipe el
año pasado.
El terremoto de 8.9 sobre las costas del pacífico de Japón el 11 de
marzo de 2011 - el más fuerte en el área en unos 1.200 años - y el
subsecuente tsunami de 10 metros de altura, ha transmitido al mundo
un claro mensaje de que nuestra civilización no es otra cosa que una
casa de cartas contra el poder de la Naturaleza.
Japón es
seguramente la civilización más avanzada que la humanidad tiene para
mostrar, y a pesar de tener una infraestructura de alta tecnología (incluyendo
un sofisticado sistema de advertencia de tsunamis), se estima que la
cantidad de muertos en la región sería de 25,000 personas.
El mínimo de daños estructurales a reparar parte de unos $310 mil
millones, pero de preocupación infinitamente mayor es una crisis
nuclear que amenaza con envenenar primero a Japón, y luego a todo el
planeta. Y nadie sabe como arreglar el problema (mas sobre este tema
debajo).
A esto debemos agregar las consecuencias para la economía de Japón y
del mundo.
¿Quién comprará alimentos provenientes del Japón? Este es
otro peso muerto ubicado en la balanza de la crisis mundial
alimentaria. Rápidamente las cosas pueden transformarse de normales
a muy malas, ¿no crees?
Ahora imagina si en vez de un terremoto en
el lugar equivocado tuviéramos, digamos, la explosión de un cometa
en la atmósfera y sus fragmentos lloviendo sobre ciudades de grandes
poblaciones...
Japón, Nueva Zelanda y Chile tienen algo en común. Están ubicados
sobre el
Anillo de Fuego y alrededor de la placa tectónica del
Pacífico.
Los recientes fuertes terremotos parecen mostrar un patrón
alrededor del Anillo de Fuego, y esta es una de las razones por las
cuales sospechamos que viene en camino uno bien grande en
Norteamérica, con California como principal objetivo. Ello no
significa que el este asiático esté exento.
Japón ha sufrido al
menos dos réplicas por encima de la magnitud 7.0 desde el mega-terremoto
del 11 de marzo, así como también
al menos 70 más mayores a 6.0 solo
en el mes de marzo. Esto es 50 veces más que el mismo período del
año pasado.
Indonesia también se encuentra en el Anillo de Fuego.
La
civilización moderna tuvo su primer contacto con los tsunamis a
fines del 2004, cuando 250,000 personas murieron como resultado del
primer terremoto de magnitud 9.0 desde 1967. El conjunto de mega-temblores
está haciendo que los científicos se pregunten si no estamos
ingresando en una nueva era de grandes terremotos.
Particularmente desde el gran terremoto de Japón, el planeta ha sido
testigo de al menos un gran temblor por día. Si ese es el caso - y
efectivamente parece serlo - ¿por qué está sucediendo? ¿Y cuál es su
relación con los cambios climáticos globales? Todo está conectado:
nos parece que estamos observando una confluencia de ciclos
naturales de proporciones cósmicas.
Respecto a la actividad de terremotos (y volcánica) debemos sumar la
curiosa aparición de numerosos
hoyos en todo el mundo. ¡Se podría
decir que el planeta se está 'abriendo' a medida que tiembla!
¿Existe una conexión con la licuefacción de la tierra en
Christchurch y Japón?
Tostada Nuclear
El 11 de marzo fue un golpe devastador para el pueblo de Japón y un
gran desastre en todo sentido.
En lo inmediato, otro aspecto del
desastre se volvió lentamente aparente mientras observábamos el
desarrollo de las fallas de sistema en la planta nuclear de Fukushima. El terremoto y el tsunami dañaron la planta y sacaron de
servicio a sus 6 reactores ocasionando que los sistemas de recupero
de energía fallaran, y en consecuencia los sistemas de enfriamiento
- el componente más importante para mantener el combustible a baja
temperatura y bajo control - fallaran también.
Luego de días sin estos sistemas críticos, hubo explosiones en
varios de los edificios de los reactores produciendo un daño aún
mayor a la instalación y provocando la salida de material radiactivo
no especificado al medioambiente.

20 de marzo de 2011, imagen aérea tomada por un pequeño avión no
tripulado
muestra el daño
en la unidad 4, a la izquierda, y la
unidad 3
de la destruida planta nuclear Dai-ichi en Fukushima.
La situación ha ido empeorando. Aparentemente ningún esfuerzo hasta
el momento tuvo éxito para poner completamente bajo control a la
planta de Fukushima.
Actualmente el desastre es considerado de nivel
7 de 7, el nivel más elevado en una escala internacional supervisada
por la Agencia Internacional de Energía Atómica. El resultado es que
las toxinas radiactivas siguen siendo emitidas al aire, al suelo y
al océano pacífico.
Al mismo tiempo, hay mucha confusión y falta de información
importante y creíble ofrecida de forma honesta al pueblo de Japón y
al resto del mundo respecto a la cantidad de material radiactivo
emitido y el peligro que presenta esta situación. Esto nos recuerda
la similitud con el desastre petrolero de BP en el Golfo de México
del año pasado.
En ambos desastres, los responsables de utilizar la
tecnología con el potencial de causar accidentes extremadamente
peligrosos se comportan como si la salud y bienestar de millones de
personas fuera mucho menos importante que la protección de sus
propios intereses financieros.
Con semejante desprecio por los demás, la similitud entre el
comportamiento de gigantescas corporaciones y las características de
comportamiento de los psicópatas no es una comparación difícil de
realizar.

Una de las consecuencias que produjo esta catástrofe es que muchos
de nosotros comenzamos a investigar y aprender más sobre los efectos
de las toxinas radiactivas y sobre las plantas nucleares ubicadas en
todo el mundo.
Según la
Sociedad Nuclear Europea, hasta enero del
2011, existen 442 plantas nucleares en 30 países y unas 65
adicionales se encuentran en construcción.
Aunque las corporaciones que construyen y operan estas plantas se
esfuerzan por convencer a la gente que son seguras, lo sucedido en
Fukushima demuestra claramente que cada una de estas plantas tiene
al menos el potencial de volverse extremadamente peligrosas.
Aunque hizo falta un Fukushima para catapultar el tema de las
toxinas radiactivas a los principales titulares, el problema se fue
acrecentando a todo nuestro alrededor durante los últimos 60 años -
y no solo mediante la construcción de plantas nucleares, sino
también por las
más de 2,000 explosiones de pruebas nucleares que se
han llevado a cabo desde 1945.
El objetivo de utilizar la fusión nuclear derivada de material
radiactivo en una planta nuclear es básicamente para una sola cosa -
hervir agua, y producir vapor que luego es utilizado para mover
turbinas y producir electricidad.
Es difícil imaginar cualquier tipo
de tecnología que sea utilizada para algo tan simple y que sea tan
complicada, costosa y peligrosa.
Como dice Greenpeace en 'Nuclear
Power - A Dangerous Waste of Time':
...los procesos nucleares producen peligrosos materiales
radiactivos. Estos materiales emiten radiación que puede ser muy
dañina para las personas y el medioambiente, no solo para el
presente sino también por cientos de miles de años en el futuro.
La
exposición a la radiactividad ha sido relacionada a mutaciones
genéticas, defectos congénitos, cáncer, leucemia y desórdenes de los
sistemas reproductivo, inmune, cardiovascular y endócrino.
Los reactores nucleares comerciales utilizan uranio como
combustible. Incluso antes que esté listo para ser utilizado como
combustible, requiere una serie de procesos que producen una severa
contaminación medioambiental. Cuando un átomo de uranio se divide,
no solo produce energía sino también un peligroso desecho
radiactivo.
En promedio, el mineral uranio contiene solo 0.1% de
uranio. La gran mayoría de los materiales extraídos en la minería de
uranio son desechos que contienen otras peligrosas sustancias
tóxicas y radiactivas.
La mayoría de los reactores nucleares requieren una forma específica
de uranio, uranio-235 (U-235). Esta forma representa solo el 0.7%
del uranio natural. Para aumentar la concentración de U-235, el
uranio extraído de la mina atraviesa un proceso de enriquecimiento,
resultando en una pequeña cantidad de uranio 'enriquecido'
utilizable, y grandes cantidades de desechos: uranio empobrecido, un
metal pesado tóxico y radiactivo.
Luego el uranio enriquecido es transformado en barras de combustible
y transportado a los reactores nucleares donde se genera
electricidad. El funcionamiento de una planta nuclear transforma el
combustible de uranio en un coctail rico en elementos altamente
tóxicos y radiactivos, como el plutonio.
El plutonio es el elemento
fabricado por el hombre utilizado en la bomba nuclear, letal en
pequeñas cantidades y peligrosa durante unos 240,000 años.

Los desechos nucleares se categorizan según su nivel de
radiactividad y por el tiempo sigue siendo peligroso.
La Agencia
Internacional de Energía Atómica (IAEA) calcula que, cada año, la
industria de energía nuclear produce el equivalente a 1 millón de
barriles (200,000 m3) de lo que considera como 'Desechos de nivel
mínimo e intermedio' (LILW) y unos 50,000 barriles (10,000 m3) de los
aún más peligrosos 'Desechos de alto nivel' (HLW).3
Estos números no incluyen el combustible nuclear gastado, que
también es un desecho de alto nivel. Los desechos de nivel mínimo e
intermedio incluye partes de plantas nucleares desmanteladas
(concreto, metales), sino también ropa, protectora, plásticos,
papel, metales, filtros y resinas no reciclables. Los desechos de
nivel mínimo e intermedio siguen radiactivos por períodos desde
minutos a miles de años y deben mantenerse bajo condiciones
controladas durante estos períodos.
Aún así, grandes cantidades de desechos radiactivos son arrojados al
aire y al mar diariamente.
Los extremadamente peligrosos desechos de alto nivel incluyen
materiales que contienen elementos altamente radiactivos. Los
desechos de alto nivel pueden ser radiactivos durante cientos de
miles de años y emiten grandes cantidades de radiación peligrosa.
Incluso un par de minutos de exposición puede resultar fácilmente en
dosis fatales de radiación. Por lo tanto deben ser almacenados de
manera confiable durante cientos de miles de años.
Poniéndolo en perspectiva, la humanidad ha ocupado la Tierra por los
últimos 200,000 años, y aún así deben pasar 240,000 años para que el
plutonio pueda considerarse inofensivo. El almacenamiento seguro de
los desechos peligrosos debe estar garantizado durante este período,
que potencialmente incluye varias eras de hielo.
Es evidente que
todavía no se ha descubierto una solución para tratar los desechos
nucleares.
Como habitualmente sucede, una vez que comenzamos a tirar de los
hilos y ver cómo llegamos a tener más de 500 de estas increíblemente
peligrosas instalaciones en el Planeta Tierra, encontramos en sus
raíces a algunas de las corporaciones más grandes del mundo,
trabajando codo a codo con poderosos gobiernos, ejércitos, y
agencias internacionales e instituciones financieras que han
demostrado una y otra vez que la salud y bienestar de la gente es la
última de sus preocupaciones.
Casi desde el principio, hubo denunciantes y críticos que han
intentado dar a conocer los peligros de utilizar tecnologías
nucleares. Y, como también ha sido habitual, se ha efectuado un
esfuerzo en conjunto por parte de la industria para silenciarlos.
El
desastre en Fukushima ha brindado una nueva oportunidad para que
algunas de sus voces se oigan.
El Dr.
Helen Caldicott, un antiguo oponente de la energía nuclear,
en una
entrevista con la CNN dos semanas después del terremoto, fue
consultado sobre los riesgos para las personas en el área inmediata
del accidente de Fukushima:
El riesgo no puede determinarse con ninguna precisión todavía,
debido a que no está claro cuanta radiación se ha emitido o está
siendo emitida.
La NPR informó la semana pasada que 17 trabajadores
han sufrido lo que el gobierno japonés llama "deposición de material
radiactivo" en sus rostros. Y algunos trabajadores de la planta ya
han sido hospitalizados por exposición a la radiación, lo que
significa que recibieron una elevada dosis de radiación.
Los elevados niveles de exposición pueden causar enfermedades
crónicas relacionadas con la radiación, un síndrome reconocido por
primera vez por la profesión médica luego de Hiroshima y Nagasaki.
Puede producir terribles efectos. En dos semanas, el pelo de las
víctimas comienza a caerse. Desarrollan hemorragias debajo de la
piel, severas nauseas y diarrea y eventualmente podrían morir
desangrados o por infecciones.
Si se produjo una fusión nuclear en la planta, una gran cantidad de
personas podrían haber sido expuestas a elevadas dosis de radiación
en esta región, una de las más densamente pobladas de Japón.
(Después del terremoto del 11 de marzo, el gobierno japonés evacuó a
la gente en un radio de 20 Km. para mitigar la posibilidad).
Los hombres expuestos a semejantes dosis quedarían estériles, las
mujeres podrían dejar de menstruar, y probablemente sucedan abortos
espontáneos. Los bebés podrían nacer con micro-encefalia, con cabezas
pequeñas y discapacidades mentales. Muchas personas podrían
desarrollar una disminución crónica de la respiración debido al daño
en los pulmones.
En cinco años, habría una epidemia de leucemia, y
en 15 años, comenzarían a aparecer cánceres sólidos en varios
órganos: pulmones, senos, tiroides, cerebro y huesos.
Aunque la emisión no sea grande, la incidencia de cáncer y leucemia
aumentará en la población. Los niños son entre 10 y 20 veces más
sensibles a los efectos cancerígenos de la radiación que los
adultos, y los fetos miles de veces más porque sus células se
dividen rápidamente y en consecuencia son más vulnerables a las
mutaciones genéticas. Enfermedades genéticas, como la fibrosis
quística, diabetes, enanismo y desórdenes metabólicos, serán pasados
a futuras generaciones.
No existe manera de desintoxicar a las personas expuestas una vez
que inhalan o ingieren elementos radiactivos que se dispersan por
todo el cuerpo hacia diferentes órganos.
Los monitores de radiación en la Isla de Tres Millas superaron la
escala a minutos del accidente, por lo tanto las emisiones son solo
suposiciones por parte de los físicos. Pero es prácticamente seguro
que elementos radiactivos como estroncio 90, cesio 137 y tritio han
escapado. Chernobyl experimentó una fusión nuclear completa y la
ruptura de la cámara de contención, contaminando el 40% de Europa e
Inglaterra.
Hay seis reactores en la Planta N°1 de Daiichi Fukushima en Japón, y
sus piscinas de combustible agotado, que contienen barras de
combustible altamente radiactivas, también corren el riesgo de
derretirse.
Estas piscinas contienen entre dos y diez veces más
radiación que el núcleo del reactor, que contiene una radiación
equivalente a 1.000 bombas de Hiroshima.
Hubo varios informes en los principales medios comparando la
exposición al material radiactivo emitido en Fukushima con las
seguras instancias de rayos x en el ámbito médico y los escáneres de
cuerpo completo, así como también fuentes naturales como el radón.
Esto es basura total, típica del patrón que hemos visto después del
derrame de BP, diseñada para minimizar el riesgo. Para más sobre
este tema, ver "Manejo de la Percepción: Cómo los niveles aceptables
de radiación son ajustados para hacernos pensar que todo está bien".
Hirose Takashi, que escribió varios libros criticando a la industria
de la energía nuclear,
entrevistado el 22 de marzo decía esto:
Takashi: Toda la información mediática está en equivocada aquí, creo
yo. Están diciendo estupideces como por ejemplo, que por estar
expuestos a la radiación todo el tiempo en nuestra vida diaria,
recibimos radiación desde el espacio exterior. Pero eso es solo un millisievert al año. Un año tiene 365 días, un día tiene 24 horas;
multiplica 365 por 24, tienes 8760. Multiplica los 400 millisieverts
por ello, y tienes 3.500.000 la dosis normal.
¿Eso es seguro? ¿Y qué
medio ha informado esto? Ninguno. Lo comparan con el escáner de
cuerpo completo, que solo tarda un instante, y que no tiene nada que
ver con ello.
La razón por la que se puede medir la radiactividad es porque está
escapando.
Lo peligroso es cuando ese material ingresa al cuerpo y lo irradia
desde su interior. Estos académicos que hablan en nombre de las
industrias van a la TV, ¿y qué dicen? Dicen que mientras te alejes
la radiación, se reduce en proporción inversa al cuadrado de la
distancia. Yo quiero decir lo contrario. La radiación interna sucede
cuando se ingresa material radiactivo al cuerpo.
¿Qué sucede?
Digamos que hay una partícula radiactiva a un metro de donde te
encuentras. La respiras, se pega dentro de tu cuerpo; la distancia
entre tú y ella está ahora en un nivel de micrones.
Un metro es 1000 milímetros, un
micrón es una milésima parte de un
milímetro. Eso es mil veces mil: mil al cuadrado. Ese es el
verdadero significado de "proporción inversa al cuadrado de la
distancia". La exposición a la radiación se incrementa por un factor
de trillón. Inclusive inhalar la partícula más pequeña, ese es el
peligro.
Entrevistador: Entonces hacer comparaciones con los rayos x y
escáneres no tiene sentido ya que estás respirando material
radiactivo.
Takashi: Correcto. Cuando ingresa a tu cuerpo, no se sabe hacia
donde irá. El mayor peligro es para las mujeres, especialmente
embarazadas, y los niños pequeños. Ahora hablan de yodo y cesio,
pero eso es solo una parte, no están utilizando los instrumentos de
detección apropiados. Lo que ellos denominan medios de monitoreo
solo miden la cantidad de radiación que hay en el aire. Sus
instrumentos no comen.
Lo que miden no tiene relación con la
cantidad de material radiactivo...

Izquierda: Unidad 1, se ve parcialmente; Unidad 2, Unidad 3 y Unidad
4
en la planta nuclear Dai-ichi en Fukushima.
A un mes de la apertura de este último espectáculo de horror, a
pesar de los mejores esfuerzos de los gobiernos y las corporaciones
de energía para limitar la publicación de información, ha comenzado
a surgir una imagen que eventualmente podría hacer que este sea el
peor desastre producido por el hombre en la historia, con una
cantidad de muertes humanas que pocos han comenzado a contemplar.
Parece que al menos tres de los reactores se han fundido en un grado
u otro, lo que significa que el combustible nuclear altamente
radiactivo ya no está contenido en las barras de circonio que
habitualmente los contiene, y probablemente se encuentre en el suelo
de concreto de los reactores, consumiéndose todavía.
Se ha descubierto plutonio afuera en el medioambiente, lo cual
indica que muy probablemente al menos algunas de las barras de
combustible consumidas en uno o más de los edificios de los
reactores volaron en pedazos y fueron emitidos al aire y al suelo en
una o más explosiones que sucedieron.
Hay rajaduras en las
estructuras de contención y posiblemente en las piscinas de
combustible consumido que han facilitado la filtración de material
radiactivo, y sin dudas hubo una gran cantidad de material altamente
radiactivo sin especificar arrojado al océano.
Los isótopos radiactivos originarios de Fukushima son ahora
detectables en todo el hemisferio norte.
Físicos de la entidad Responsabilidad Social emitieron recientemente
una declaración respecto a la exposición al material radiactivo:
Físicos de la entidad Responsabilidad Social (PSR) expresaron su
preocupación sobre los recientes informes acerca de la presencia de
radiactividad del accidente de Fukushima en alimentos japoneses.
Mientras que todos los alimentos contienen radionúclidos, sea de
fuentes naturales, de pruebas nucleares u otras, los cada vez
niveles más altos en la espinaca y leche japoneses presentan riesgos
de salud para la población. La PSR también expresó alarma sobre el
nivel de desinformación que circula en la prensa sobre el grado en
que la exposición a la radiación puede considerarse "seguro".
Según la Academia Nacional de Ciencias, no existen dosis seguras de
radiación. Décadas de investigación muestran claramente que toda
dosis de radiación incrementa el riesgo individual de desarrollar
cáncer.
"No existe un nivel seguro de exposición a los radionúclidos, sea en
alimentos, agua u otras fuentes. Punto", dijo Jeff Patterson, último
presidente de físicos de la entidad Responsabilidad Social.
"La
exposición a los radionúclidos, como el yodo-131 y cesio-137,
aumentan la incidencia de cáncer. Por esta razón, se deben realizar
todos los esfuerzos posibles para minimizar el contenido de
radionúclidos en alimentos y agua".
Dado que no existe una dosis 'segura', esto es causa de gran
preocupación para todos.
El evento de Fukushima es otro estrés
medioambiental con el que nuestros cuerpos tienen que luchar. Esto
hace mucho más importante que la gente haga todo lo necesario para
desintoxicarse, y
aprender y utilizar los protocolos para defender
el sistema inmune y que promueven la salud.
Maravillas y portentos

"No necesitamos la amenaza celestial para disfrazar las intenciones
de la Guerra Fría; ¡sino que necesitamos la Guerra Fría para
disfrazar las intenciones celestiales!"
Víctor Clube
Es un gran desafío intentar contabilizar los innumerables informes
sobre el fuego en el cielo cuando todos los años de intentar
despertar la conciencia de los demás sobre el inminente peligro, cae
persistentemente en oídos sordos.
Si todo lo que necesitamos saber, lo que aprendimos en el jardín de
infantes, y luego recordar, cuando eras un niño, cómo has sido
adoctrinado por quienes cuidan de ti sobre las medidas de seguridad
básicas: nunca aceptes caramelos de un extraño, ten cuidado del
ambiente en todo momento y permanece en contacto (red de trabajo).
Aprende a gritar "FUEGO" para llamar la atención de la gente, porque
no hay nada como un peligro de incendio para activar los instintos
naturales de auto-preservación de las personas. Y aún así, aquí seguimos gritando "¡fuego!" año tras año, no por
llamar la atención, y todavía recibimos respuestas
como esta.
Diantres, ¡a veces nos sentimos como Cassandra!
Pero donde algunos se rinden y se concentran en su propia
supervivencia, nosotros en cambio elegimos utilizar este centímetro
cúbico de oportunidad todavía disponible para la humanidad, y ser
como el colibrí de la siguiente parábola china:
Un día un elefante vio a un colibrí sobre su lomo con sus pequeñas
patas apuntando al cielo. "¿Qué haces?", preguntó el elefante.
El
colibrí respondió, "Escuché que el cielo podría caer hoy, y estoy
listo para ayudar a sostenerlo si es que cae".
El elefante rió
cruelmente. "¿Realmente piensas", dijo, "que esas pequeñas patas
podrían ayudar a sostener el cielo?".
El colibrí siguió apuntando
sus patas al cielo, y respondió, "No yo solo. Sino que cada uno debe
hacer lo que pueda. Y esto es lo que yo puedo hacer".
Lo que podemos hacer es fijar nuestros ojos en el cielo y
mantenernos informados sobre la próxima tormenta de fuego.
Pero
cambiemos un poco el formato del resumen del año pasado, ¿si?
En
lugar de simplemente listar todos los informes que recibimos, nos
concentraremos en unos pocos eventos clave que actuaron como
marcadores o señales que indican el problema de percepción que la
humanidad enfrenta. Si buscas información en bruto, por favor visita
nuestro blog, donde encontrarás una detallada lista cronológica de
noticias sobre bolas de fuego, meteoritos y explosiones aéreas.
La confusión que rodea al fenómeno de los residuos cósmicos que
ingresan a nuestra atmósfera reside en última instancia en la
equivocada confianza que tendemos a depositar en aquellos a quienes
entregamos la autoridad para solucionar problemas de proporciones
globales.
De todas maneras, semejante responsabilidad no debe ser
fácil de manejar.
Sin embargo, existe una diferencia entre un error
decente, resultado de llegar al límite del conocimiento y del
entendimiento disponible en cierto campo, y una ciencia corrupta que
sacrifica la verdad para avanzar ciertas agendas políticas o ciertas
preconcepciones, en nombre de mantener una ilusión y una mentira por
la cual todos pagaremos con nuestras propias vidas.
Un
caso relacionado:
El experimentado científico de la NASA, David Morrison, declaró que
el 80% ciento de los asteroides cercanos a la Tierra de 1 Km. o
mayores ya han sido identificados y que podía asegurar a los
presentes en la conferencia que:
"No nos va a suceder lo mismo que a
los dinosaurios".
También dice que Spaceguard Survey no descubrió
ningún objeto cercano a la Tierra del tamaño del que se cree ha
eliminado a los dinosaurios.
Morrison indicó que los impactos de asteroides son el único peligro
natural que en principio se puede descartar totalmente. Gracias a
Spaceguard Survey, probablemente la humanidad tendrá décadas de
aviso antes de una inminente colisión.
Una vez alertado, se podrían
utilizar misiles para desviar un asteroide que amenace con impactar
a la Tierra.

La definición de negligencia criminal es actuar despiadadamente sin
precaución razonable, y poner en peligro de herida o de vida a otra
persona (o equivocarse al hacer algo con las mismas consecuencias).
Tenemos la leve sospecha que las afirmaciones de David Morrison
respecto a que no tenemos nada de que preocuparnos cuando de
amenazas del espacio se trata, y que podemos seguir pacíficamente
con nuestras vidas diarias, inundados de una silenciosa
desesperación en un planeta donde la tragedia humana y las horrendas
atrocidades se han vuelto tan comunes como las moscas de la fruta,
se resumen en un ejemplo perturbadoramente claro de negligencia
criminal.
Quizás
este sea el porqué:
Los expertos no están ni remotamente de acuerdo respecto a qué tan
preocupados debemos estar. Los telescopios y satélites están en
posición de detectar potenciales "asesinos de planetas" - asteroides
o cometas de más de un kilómetro en diámetro - muchos años o incluso
décadas antes que impacten con la Tierra.
El problema, según Jay Tate, director del recurso de información
pública Spaceguard UK, es que no existen medidas en práctica para
desviarlos, y de todas maneras los objetos más pequeños podrían
"pasar" e impactarnos en cualquier momento.
"¿Quieres saber qué
tanta advertencia tendríamos en el caso de un asteroide que podría
arrasar un país o una ciudad?" pregunta Tate. "Unos cuatro segundos.
Es probable que haya un gran impacto antes de terminar esta
conversación o dentro de 10,000 años".
Oficial retirado del Ejército Británico y especialista en armas
teledirigidas, Tate despertó su curiosidad sobre los planes del
gobierno para la defensa contra meteoritos luego que el cometa SL9
bombardeara Júpiter en 1994, y se enfureció al descubrir que no
había ni uno.
Él y varios importantes científicos crearon un grupo
de acción sobre Objetos Cercanos a la Tierra (NEOs), presentándose
ante el parlamento con una serie de recomendaciones de acción en el
año 2000. [...]
"Desde entonces se ha hecho muy poco", dice Tate, desde el Centro
Spaceguard en el antiguo Observatorio Powys en Gales.
"La línea
oficial inglesa parece ser que no hay necesidad de que preocuparse,
porque los norteamericanos se están ocupando de ello. Pero si el
razonamiento es ese, ¿entonces qué sangriento desastre estamos
haciendo en Irak?".
Sangriento desastre, efectivamente, es lo que hicieron en Irak.
Y ya que no podemos confiar en los "más brillantes y mejores" de la
NASA para que nos presenten un análisis acertado de las amenazas
cósmicas sin embarrar las aguas u ocultar importante evidencia
intencionalmente (¿podemos atrevernos a llamarlo una conspiración de
proporciones cósmicas?), utilizaremos la oportunidad (nuevamente),
recordándote que desde un punto de vista histórico,
la única realidad es la de la conspiración. El secretismo, la
riqueza y la independencia suman poder. El engaño es el elemento
clave de la guerra, (la herramienta de las elites poderosas), y
cuando ganar es lo único que importa, la moralidad convencional
mantenida por la gente común se vuelve un impedimento.
El secretismo
surge de un pervasivo y fundamental elemento de la vida en nuestro
mundo, que aquellos que están en la cima de la montaña siempre
tomarán las medidas necesarias para mantener el estatus quo.
[Dolan,
Ovnis y el Estado de Seguridad Nacional, Vol. I]
Y mantener el "estatus quo" en la ciencia debe ser uno de los
principales objetivos de la Elite de Poder.
Así que quebremos el
estatus quo presentando hechos que alguna vez fueron conocidos o
entendidos por la humanidad en un nivel instintivo, aprendidos de la
forma más dura luego de enfrentar y sobrevivir a numerosas
calamidades de la vida.
Aquí está lo que el aclamado astrofísico, Víctor Clube,
tiene para
decir:
Hay un cambio de paradigma involucrado en el reconocimiento de que no
solo hemos malinterpretado la historia antigua - sino toda la
historia.
Entonces, ¿cuál es mi punto?
Mi punto es que no tienes que
involucrarte primero en mitología, prehistoria y geología, como hizo Velikovsky, para comprender el cielo. Primero haces al cielo moderno
disponible a la ciencia, especialmente durante la Era Espacial, y
observas los desechos más oscuros relacionando su comportamiento con
la historia humana más accesible que tengamos, y que en principio,
podamos realmente comprender.
Y mediante este enfoque descubres por
las dinámicas del material espacial del que estoy hablando que un
gran cometa debe haberse establecido en una órbita Táurida hace unos
20.000 años, cuyo más denso flujo de meteoros en los últimos 10.000
años ciertamente produjo la última Era de Hielo.

¿Qué más podemos aprender de la historia que nos ayudará a
comprender que los bombardeos cometarios no son eventos aislados,
sino que actúan como parte integral de nuestra existencia
concediendo periódicamente sobre nosotros sus furiosos regalos que
llevan un mensaje de 'sabiduría a través de la terrible gracia de
Dios'?
Y si estamos demasiado bíblicos para su gusto, queridos lectores, es
porque inclusive ese notorio manuscrito de nuestros tiempos incluye
catástrofes cósmicas escritas en todo el mismo.
Sodoma y Gomorra podrían haber sido destruidas por residuos de un
cometa, según sugiere una nueva y sorprendente investigación
arqueológica y astronómica. Otro bombardeo desde el espacio pudo
haber producido la Edad Oscura. [...]
La conferencia, sobre catástrofes naturales durante las
civilizaciones de la Edad de Bronce, reunirá a astrónomos,
arqueólogos, geólogos y otros científicos para intentar encontrar
una explicación para la casi simultánea caída del Antiguo Reino de
Egipto, la civilización sumeria en Mesopotamia y la civilización
Harrapin del Valle Hindú. En todos, se cree que desaparecieron unas
40 ciudades en una serie de catástrofes. [...]
El Dr. Víctor Clube, importante investigador de astrofísica en
Oxford, indica que el relato bíblico encaja con similares eventos en
los registros babilónicos. Calculó que la Tierra pudo haber pasado a
través de una nube particularmente densa en residuos - el flujo
Táurido de meteoritos, que se cree surgió a raíz de la destrucción
de un cometa hace 4.000 años - entre el 2200 y el 2000 AC.
Esto sucedió nuevamente entre el 400 y el 600 DC y pudo haber
llevado a la caída de Roma y la Edad Oscura, momento en el que los
contemporáneos hablan de "fuegos de venganza justificada" cayendo
del cielo.
Se espera que el Flujo Táurido regrese hasta el final del próximo
milenio pero el Dr. Clube dice que mientras tanto pueden ocurrir
bombardeos similares de otros tipos de residuos. "Hay peligro en el
cielo", advierte, "y las personas estarían en lo cierto si tienen
miedo"
NO es nuestra intención "diseminar temor y pánico".
Las personas
están muy estresadas hoy en día, en general, y creemos que la fuente
original de este estrés está en nuestras más profundas memorias de
catástrofes cíclicas producidas por diversos bombardeos cometarios.
En las situaciones más desastrosas y oscuras se puede encontrar gran
fortaleza y recursos creativos.
Estar advertido es estar armado, y
la lanza de la verdad y el conocimiento es más afilada que la daga
de engaño de los individuos psicopáticos que detentan el poder.
De
Invierno Cósmico, de Clube y
Napier, sabemos que:
La era del hielo del Pleistoceno comenzó hace unos 2.5 millones de
años, coincidente con un repentino ingreso de cometas de la
perturbada nube, aunque los glaciares montañosos comenzaron a
expandirse antes de ello. Esta época, al igual que otras que
ocurrieron en la historia de la Tierra, está dividida en series de
eras de hielo muy erráticas, de una duración típica de entre 10.000
y 100.000 años.
Nuevamente, estas escalas temporales guardan relación con la
intermitente llegada y desintegración de los mayores cometas, aunque
no se pueden precisar los números.
La última era de hielo finalizó hace más de 10.000 años. Por lo
tanto, estamos, en estos momentos, viviendo en un período
interglacial cálido. Sin embargo, intersectando a tales períodos
cálidos, tenemos breves episodios de enfriamiento, muy repentinos en
desarrollarse, y con una duración general de 10 a 100 años. Durante
estos episodios el clima de la Tierra ingresa en un áspero escenario
glacial.
Tales episodios de enfriamiento podrían traer grandes consecuencias
a los humanos y se discutirán en el presente; por el momento solo
vemos que por primera vez existe una base científica para una
interpretación catastrófica de la historia humana; y empezamos a
discernir que la amenaza desde el cielo podría tener un frío
aspecto.
La inminente Era de Hielo es por supuesto otro factor que resultará
en la disolución de la forma de vida de la actual civilización. Así
que no solo estamos hablando de una '¡muerte por el fuego!'.
Como
Robert Frost indicó tan expresivamente:
Algún día el mundo terminará en fuego, Algún día en hielo. Por el deseo que he experimentado Estoy con los que favorecen al fuego. Pero si tuviera que morir dos veces, Creo que de odio sé lo suficiente Como para decir que la destrucción por el hielo También estaría bien Y bastaría.
Este poema no es meramente un intento por agregar un toque poético a
una descripción 'terminal' o cínica de lo que nos espera a la vuelta
de la esquina.
Tan solo digamos que nuestras catástrofes cósmicas y
otras reflejan la experiencia humana, y si esta observación es
remotamente cierta, a juzgar por lo que está pasando en la tercera
roca desde el Sol, hace rato que nos hemos pasado de una
'restauración del balance', en el que la Madre Naturaleza se hace
cargo y realiza una gran 'limpieza de la casa'.

Pero volviendo al tema.
Cierta verificación en los principales medios de lo que Sott.net ha
estado diciendo por años finalmente está saliendo del cerrojo de la
información, con
el Daily Mail inglés informando en abril de 2010
que la última era de hielo se produjo por un bombardeo cometario.
Una rareza similar ocurrió
en febrero del 2010 cuando los grandes
medios "revelaron" de qué manera los residuos de un grupo de cometas
generaron la 'Edad Oscura' circa 500 DC.
Bill Napier, al igual que
Víctor Clube, merecen mayor reconocimiento
por su dedicación en reunir muchas de las piezas del rompecabezas.
El Ciclo de Catástrofes Cósmicas de Firestone, West y Warwick-Smith
es el libro seminal sobre el evento de Impacto Younger Dryas hacia
fines de la última Era de Hielo.
Pero además de cometas más antiguos que se quiebran y dejan rastros
de residuos a través de los cuales la Tierra pasa periódicamente, la
incansable investigación de Laura Knight-Jadczyk nos ha llevado a
considerar el mecanismo cíclico mediante el cual los cometas
provenientes de la Nube de Oort que rodea el sistema solar exterior
son golpeados hacia el interior del sistema solar interno.
Un
artículo de febrero del 2010, 'Poniéndonos ASTUTOS (WISE) sobre
Nemesis,' corrobora su investigación:
Nuestro sistema solar está rodeado de una gran colección de cuerpos
de hielo llamada Nube de Oort. Si nuestro sol fuera parte de un
sistema binario en el cual dos estrellas relacionadas
gravitacionalmente orbitan un centro de masa en común, esta
interacción podría perturbar a la Nube de Oort periódicamente,
arrojando cometas hacia nosotros.
Considerando la información de arriba, permítannos hacer una
pregunta.
Por cada instancia de tráfico espacial que detectamos,
¿cuántos pasan desapercibidos? ¿Solo por casualidad el astrónomo
amateur Nick Howes capturó la explosión de un cometa en marzo de
2010, un evento pasado por alto por todo el resto?
Este constante aumento de la cantidad de avistajes de bolas de
fuego, junto a la investigación que revela que nuestro medioambiente
se ve constantemente afectado por la interacción con residuos
cometarios y la radiación cósmica, nos dice que nuestra Gran Canica
Azul se encuentra nuevamente en el límite de encontrarse con una
tormenta cósmica. De hecho, ya estamos pasados de la Grande. Pero no
esperen que nuestros queridos líderes nos informen pronto sobre
ello.
Según Laura Knight-Jadczyk
ha escrito en otra instancia:
Si no podemos evitar que un asteroide o cometa nos golpee, ¿crees
que aterrarán al público de antemano anunciando una inminente
colisión? Sin embargo, aterrar al público es de rigor para quienes
tienen el poder, pero solo para aquellas cosas que pueden manejar.
El calentamiento global que debería desarrollarse lentamente a lo
largo de décadas es el problema ideal para aquellos que buscan
poder: las más terribles advertencias caen en manos de los
controladores mientras las utilizan para justificar aún más gastos
militares, la destrucción de libertades civiles, más control para
las corporaciones, e invasiones "preventivas" en la búsqueda de
recursos en caída.
Lo que el público no reconoce es que todo esto bien podrían
preparativos para cuando ese primer grupo de cometas nos espante a
nosotros, pequeños habitantes de la tierra, que no tienen bases
subterráneas, ni provisiones almacenadas, ni protocolos para
sobrevivir a un evento semejante, para salir del otro lado todavía
en control de la situación.

Conspiración del
silencio
Efectivamente, es muy poco probable que los líderes del mundo en los
niveles más altos no estén al tanto de la amenaza de un impacto de
meteorito.
Hemos estado sugiriendo que están al tanto, y lo han
estado por mucho tiempo. El lector querrá leer cuidadosamente la
serie de
Cometas y Catástrofes de Laura Knight-Jadczyk.
También están al tanto que no pueden hacer nada para evitar impactos
como los descritos en el artículo de arriba. Y entonces,
marginalizan el tema y fingen desinterés mientras se preparan para
sobrevivir.
Existe gran cantidad de evidencia que sugiere que buena parte de la
masa del oeste de
Europa fue destruida por un impacto de meteorito
alrededor del 540 DC, dando comienzo a lo que hoy conocemos como la
"edad oscura". Evidencia del estudio de anillos de árboles
fosilizados y muestras de hielo, por no mencionar los registros
históricos, sugieren que este evento más reciente fue uno de varios
eventos que sucedieron dentro de un patrón cíclico a lo largo de la
historia humana.
Hasta donde sabemos, ningún humano ha salido de este lugar "vivo".
Quizás ahora que el Universo, presentando un claro y presente
peligro a nuestra existencia, está llamando la atención a esa
existencia, quizás podríamos comenzar, incluso a estas altas horas,
a considerar cuál es el verdadero sentido de nuestras vidas,
individualmente y colectivamente.
Respecto a esto, finalmente llegamos al punto de recapitular los
principales eventos del año pasado (y hasta el momento). Damas y
caballeros, prepárense para el impacto.
Comenzaremos con la NASA que ha desarrollado un nuevo telescopio, el
Wide-field Infrared Survey Explorer (WISE). El telescopio estuvo
escaneando los cielos para localizar enanas marrones, incluyendo a
la hipotética compañera Estrella Oscura del Sol - referida como
'Nemesis' (propuesta por primera vez en 1983 por
Richard A. Muller,
físico de la Universidad de California, Berkeley). En solo seis
semanas el telescopio ya había encontrado 16 asteroides
anteriormente desconocidos que pasan cerca de la Tierra.
Se espera que WISE descubra más de 1000 Objetos Cercanos a la
Tierra, pero los astrónomos calculan que la cantidad de objetos
desconocidos con masas lo suficientemente grandes como para
ocasionar daños significativos al impactar existen de a cientos de
miles.
Un informe de fines del 2010 confirmó lo que siempre hemos
sospechado: la cantidad de cometas que están ingresando al sistema
solar interno
está en aumento:
Le llevó diez años al SOHO detectar sus primeros mil cometas, pero
solo cinco años más para detectar a los siguientes mil. Eso se debe
en parte al aumento de la participación de los cazadores de cometas
y del trabajo realizado para optimizar las imágenes, y también por
un inexplicable y sistemático aumento en la cantidad de cometas
alrededor del sol.
Efectivamente, solo en diciembre se han detectado
una cantidad sin precedentes de 37 nuevos cometas, un número lo
suficientemente elevado como para calificarlo como "tormenta de
cometas".
Ciertamente fue una "tormenta de cometas", 25 cometas
estrellándose
en el Sol en el espacio de diez días a principios de enero:
Los cometas que se dirigen hacia el Sol - denominados "sungrazers" -
no son nada nuevo.
Generalmente SOHO detecta uno cada varios días,
dirigiéndose hacia allí y desintegrándose a medida que el calor
solar elimina sus volátiles hielos.
"Pero 25 cometas en solo diez
días, no tiene precedentes", dice Battams. [...]
"Desde que el SOHO fue lanzado hubo una tendencia de incremento en
la cantidad de Kreutz sungrazers", señala.
Una tabla en la tesis
doctoral de Knight del 2008 muestra al SOHO detectando 69 sungrazers
en 1997 comparado con los 200 del 2010.
"El aumento es importante y
no puede atribuirse a las mejoras en el SOHO o a la mejora de las
habilidades de los cazadores de cometas".
¿Cuáles son las posibles repercusiones de semejante demostración
para nosotros los Terrestres si, según la NASA, estamos seguros
siempre y cuando no caiga sobre nuestra cabeza, y que las
probabilidades de una colisión sobre una cabeza son mínimas?
Dicho
sea de paso, si desean saber cuál es nuestra postura sobre el valor
de la información que emite la NASA, les aconsejamos que abandonen
las drogas antes de decirnos cómo son las cosas cuando se habla de
cuestiones extraterrestres.
Como resulta ser, una de las mayores mentiras en siglos, y que
afecta a todo lo demás, especialmente en la ciencia, es que
cualquier cosa que suceda en el planeta se origina en este planeta.
Excepto por unos pocos "extraños" y potencialmente destructivos
eventos tales como las masivas llamaradas solares, supuestamente
estamos bastante aislados de cualquier cosa que suceda en nuestro
sistema solar.
El sentido común nos dice que todo está
interconectado, pero por alguna razón peculiar esta conexión termina
en algún lugar en las capas superiores de la atmósfera. ¡Hablando de
mentes confundidas!
Es esta confusión fundamental la que provee la apertura para aceptar
ideas sin sentido tales como el calentamiento global. Pero de cierta
manera, los grandes cuentos de
Al Gore no son tan disparatados. De
hecho, podríamos decir que está diciendo una media verdad.
Según él,
al mundo le espera,
"una calamidad inimaginable que requerirá medidas preventivas a gran
escala para proteger a la civilización humana según la conocemos".
¿Qué tan terrible sería esa calamidad?
"El desplazamiento de cientos
de millones de refugiados climáticos, disturbios civiles, caos y el
colapso de los gobiernos en muchos países en vías de desarrollo, la
pérdida de cosechas a gran escala y la diseminación de enfermedades
mortales".

Nubes noctilucentes o "brillantes de noche".
Y esta parte probablemente sea verdad. Lo que no es verdad es que se
deba al calentamiento global, sino a un cambio de clima generado por
cambios en nuestro medioambiente cósmico, es decir, a
la Llegada de
la Era de Hielo.
Lo que sospechamos que realmente ha estado sucediendo, basándonos en
nuestra investigación hasta el momento, es que
la atmósfera superior
se está enfriando debido a que se está cargando de polvo cometario,
que se evidencia bajo la forma de nubes noctilucentes y otras
formaciones atmosféricas a gran altitud.
Alguna vez las magníficas y espectaculares nubes noctilucentes
(también llamadas nubes polares mesoféricas), fueron consideradas
como una extraña ocurrencia. Pero ahora desconciertan a los
científicos con sus
recientes cambios dramáticos. Aparentemente, las
nubes son cada vez más brillantes, más frecuentes, visibles a
altitudes incluso menores y ahora aparecen también durante el día.
Si se les permitiera a los científicos llevar a cabo una
investigación interdisciplinaria honesta, tales cambios no serían un
misterio.
Serían capaces de descubrir que el polvo cometario está cargado
eléctricamente y ello está causando que la rotación de la tierra se
desacelere marginalmente. Esta desaceleración de la rotación está
reduciendo el campo magnético, abriendo a la tierra a una mayor y
peligrosa radiación cósmica y estimulando un mayor volcanismo. El
volcanismo bajo el océano está calentando el agua de mar y a su vez
está calentando la atmósfera inferior cargándola de humedad.
La humedad ingresa a la atmósfera superior más fría y contribuye a
la mortal mezcla que inevitablemente conduce a una era de hielo,
precedida por un breve período de rápido aumento de los gases
invernaderos y "zonas calientes" en la atmósfera inferior, fuertes
lluvias, nieve e inundaciones.
Esperen que esta tendencia continúe pero no crean en el
"calentamiento global creado por el hombre".
Todo calentamiento que
haya habido, es realmente un preludio de la forma en que comienzan
las eras de hielo. Esperemos que no haya ningún gran trozo
catastrófico en ese flujo de polvo cometario que circula a través de
nuestro sistema solar. El panorama no es muy prometedor en este
aspecto, como veremos más adelante.
Una calamidad ciertamente inimaginable.
Recuerden esta imagen de
dos soles tomada el mes pasado en China.

Imagen del segundo sol en China
Hemos escuchado que algunos sugieren que se trata de una forma de
'parhelio' que se forma cuando la luz solar se refleja a través de
cristales de hielo y produce impactantes efectos de halo, pero ya
que no se trata de un fenómeno aislado ni exclusivamente invernal,
nosotros proponemos que los "dos soles" y otros
fenómenos anómalos
similares es un efecto de 'espejismo' de cierta clase en el cual el
sol es reflejado por la atmósfera modificada.
Es decir, una
combinación de posible carga de polvo cometario y cambios en las
capas de la atmósfera.
Además, ¿cuándo fue la última vez que han informado u observado
acerca de "dos soles"? Esto es una clara evidencia de grandes
cambios en la atmósfera y la pregunta que deberían hacerse es, ¿por
qué?
Otras señales de algo radicalmente diferente en nuestra atmósfera
son los vívidos rastros de condensación (contrails) de los
lanzamientos de cohetes, como este filmado sobre Kopeysk al sur de
Rusia, sobre la frontera con Kazakhstan, el último diciembre:
Que estos misiles balísticos que están siendo lanzados sean de
origen norteamericano o, según parece más probable considerando sus
ubicaciones, cohetes rusos como el que produjo un
extraño efecto
espiral en las costas de Noruega durante la misma semana del pasado
diciembre, lo que los hace tan dramáticos es la interacción de su
huella con el polvo de cometas en la atmósfera superior, causando
que los rastros se disipen lentamente como si quedaran suspendido en
una solución atmosférica más densa que lo normal.
Aquí tenemos otro ejemplo del Transbordador Espacial Discovery
produciendo un colorido espectáculo no menos impresionante que las
nubes noctilucenes (¿crees que hay una conexón?)

Lanzamiento del transbordador espacial en abril del 2009:
ahora
podemos ver porqué los antiguos describían a los cometas y bolas de
fuego como “dragones en el cielo”.
También, observen el siguiente video del lanzamiento del cohete
Soyuz 2 que transporta al satélite Glonass-K para apreciar que tan
similar en apariencia es a los 'mensajeros del desastre' con cola.
Sean lanzamientos de cohetes o llegadas de cometas - las
espectaculares demostraciones que están produciendo en el cielo nos
dice algo sobre el cambio de su composición.
Laura Knight-Jadczyk
escribió recientemente sobre la pantalla de humo que son las Estelas
Químicas (chemtrails), la mayoría de las cuales no son Estelas
Químicas en absoluto; la suspensión de Estelas de Condensación
(contrails) de jets en la atmósfera son otra señal que nos dice que
el cielo mismo está cambiando.
Intentamos ser extra cuidadosos sobre todas las clases de ideas que
están siendo propagadas en la escena alternativa, que luego de un
minucioso análisis e investigación invariablemente resultan estar a
la par de las mentiras de los grandes medios y no son otra cosa que
engaños del tipo
COINTELPRO que solo suman más humo al problema.
Los
llamados "Chemtrails" son uno de ellos.
Según escribió Laura
Knight-Jadczyk al final de
su artículo:
Creo que he presentado más que suficiente alimento para pensar sobre
el tema de los denominados "chemtrails" como para sugerir que, sí,
está sucediendo algo realmente perturbador, pero no es lo que
piensas. De hecho, es peor. SI, algo está MUY mal en nuestros cielos
- pero no son chemtrails.
Los CONTRAILS mismos han cambiado y ESO es
una gran advertencia acerca de nuestra atmósfera y nuestro clima y
las consecuencias son mucho más terribles que algunos pirados en el
Pentágono que solo intentan envenenarnos. Caray, podríamos
sobrevivir a eso. ¡La gran mayoría de la vida sobre la tierra NO
sobrevivirá lo que estos contrails presagian!
Aquí tenemos a nuestros candidatos para el Salón de la Fama "Fuego
en el Cielo" del 2010:
"Como algo salido del Armagedón":
bola de fuego atraviesa Irlanda
Ahora, sabemos que los astrónomos gustan presentar a estos eventos
como 'extremadamente inusuales' o 'extremadamente comunes',
dependiendo de su agenda, y también notamos que la calidad de
grabación en algunos casos deja mucho que desear.
Pero hubo otro
llamativo artículo sobre impactos de meteoritos en el Atlántico.
Aparentemente, los meteoritos son comunes en Alberta del Norte. ¿Es
posible que los avistajes o impactos de meteoritos sean más comunes
que en otros lugares?
Y de ser así, ¿cuál sería la razón?
Whyte descubrió que Alberta es rica en meteoritos y cita ejemplos
como el cráter de 1.100 años cerca de Whitecourt; descubrimientos
cerca de Ferintosh, Vulcan, Kinsella, Mayerthorpe, Bruderheim; el
meteorito Edmonton aclamado nacionalmente, hasta el casi místico
meteoro de Iron Creek. La lista es interminable.
Pero nada de esto es nuevo. Los cazadores de meteoritos han
investigado la provincia durante casi un siglo y han llegado muy
lejos en la búsqueda de estos objetos extraterrestres, incluso
examinar las profundidades del Lago Wabamun o trabajar duro a través
de incontables kilómentros cuadrados de pantanos y bosques por un
supuesto informe de avistamiento.
Los '60s fueron una década dorada en la historia de la caza de
meteoros en Alberta. Se encontraron no menos de siete en ocho años,
un récord inigualado en Canadá hasta el siglo 21.
Avanzamos a una enorme bola de fuego que
explotó sobre Europa del
este en marzo del 2010, y fue vista desde Polonia, Hungría,
Eslovaquia y República Checa.
Los testigos describieron la luz como
"más brillante que una luna llena" y que estuvo acompañada por "un
fuerte ruido indescriptible".
La onda expansiva de la explosión hizo
temblar las cámaras de
seguridad que capturaron el momento en el que la noche se hizo de
día:
Habitantes de la ciudad eslovaca de Košice recibieron un susto la
noche del domingo por una extraña luz en el cielo y una fuerte
explosión seguida de una onda expansiva. Según los astrónomos,
aparentemente se trató de un objeto espacial que chocó con la Tierra
y poco antes del impacto probablemente haya explotado en la
atmósfera. [...]
"Alrededor de las once treinta una luz apareció en la ventana y
lentamente comenzó a hacerse más brillante", declaró un residente
del pueblo Jasov cerca de Košice. "No como un relámpago, sino muy
lentamente, hasta que la habitación se iluminó como si fuera de
día". Luego agrega, "nos pareció extraño que el perro no ladrara".
"Después de ello la luz se desvaneció y escuchamos el ruido. El
ruido fue similar a un bombo, sentimos presión en nuestros oídos
como cuando te paras al lado de unos parlantes. Duró al menos un
minuto", describió el residente de Jasovanka.
Según Chochol el objeto ingreso a la atmósfera donde la fricción
hizo que aumentara su temperatura y explotara a una altitud de unos
30 Km. por encima de la superficie. La explosión fue acompañada por
una luz que en su máxima brillantez fue mil veces mayor que una luna
llena.
El premio a la bola de fuego más espectacular del año es para la
"gran bola de fuego verde" vista por miles de personas en todo el
norte de EE.UU. que dejó un rastro de incendios en un área forestal de
1.5 Km. en el sur de Wisconsin, EE.UU.
Luego se
encontraron
meteoritos:
Y finalmente, encontramos este material de video de la bola de fuego
que sobresaltó a los sudafricanos en noviembre 2009. ¡Ahora podemos
ver porqué tanto alboroto!
Erupciones solares

Al igual que los planetas, el sol también rota, aunque no como un
solo cuerpo - gira diferencialmente, rotando más rápido en su
ecuador que en sus polos.
Como hemos indicado en algún momento,
cierta fuerza cósmica (o combinación de fuerzas) parece estar
desacelerando levemente la rotación de nuestro planeta, lo
suficiente como para debilitar el campo magnético y abrir el
planeta.
Esto está generando la emisión de metano en grandes cantidades,
aumentando la actividad volcánica y produciendo más terremotos.
La
siguiente pregunta a considerar es si esta misma fuerza es la que
también está desacelerando la rotación del sol. Ciertamente
explicaría sus cambios de comportamiento. ¿Cuál es el mecanismo
oculto del sistema solar que puede afectar la rotación de cuerpos
celestiales de esta manera, en particular a uno tan grande como el
sol?
Algo maligno viene hacia aquí.
El artículo de arriba por parte de
New Scientist es solo uno de
tantos que hemos observado recientemente en este campo.
Parece haber
un gran empujón en camino para preparar a la gente sobre grandes
perturbaciones que serán explicadas como originarias del sol:
NASA advierte que las llamaradas solares de 'gran tormenta espacial'
causará devastación
Daily Telegraph Martes 15 de junio de 2010
Inglaterra podría sufrir cortes de electricidad generalizados y
quedar sin señales de comunicación críticas por extensos períodos de
tiempo, luego que la tierra sea golpeada por una "tormenta espacial"
de las que suceden una vez por generación, advirtió la NASA...
Experimentados científicos de la agencia espacial creen que la
Tierra será impactada con niveles de energía solar sin precedentes
provenientes de llamaradas solares luego que el Sol se despierte "de
su profundo sueño" en algún momento del 2013.
En una nueva advertencia, Nasa señaló que la súper tormenta
impactaría como un "rayo de luz" y podría causar consecuencias
catastróficas para la salud del mundo, servicios de emergencias y
seguridad nacional a menos que se tomen precauciones. [...]
¿Rayo de luz? Podría no ser la única forma de decir, como pronto
veremos.

Las tormentas geomagnéticas provenientes del sol bien podrían
incrementarse en los próximos años (como los siguientes dos ejemplos
recientes:
1,
2) y causar un desastre con los sistemas terrestres, pero
eso no apunta a que la fuente de estas interrupciones no sea el sol
mismo sino el factor cósmico que hace que el sol se esté comportando
de esta manera.
Al igual que las sombras en la Cueva de Platón, la
gente estará concentrada en el sol, ignorante de la tormenta que
viene desde el espacio profundo. Mientras tanto la NASA está ocupada preparándose para
disparar
láseres hacia la basura espacial.
¿Alguien más está viendo que hay
algo mal con sus prioridades?
Nuestros vecinos se vienen renovando
En mayo pasado, el Cinturón Ecuatorial Sur de Júpiter,
desapareció
de la vista.
El famoso Gran Punto Rojo de Júpiter se encuentra
típicamente sobre los bordes de este cinturón. La desaparición del
cinturón
se atribuyó a un banco de nubes blancas de amoníaco
congelado que se formó cuando los secos y descendentes vientos que
normalmente mantienen la región libre de nubes elevadas, se
detuvieron.
En noviembre, los científicos notaron que el cinturón
estaba re-surgiendo debido a un cambio en la cobertura de las nubes.

Mike Wong, Franck Marchis, Christopher Go & W.M. Keck Observatory Júpiter visto en tres bandas infrarrojas (izquierda),
con una capa
de infrarrojo término de 5 micrones (centro)
y en la misma noche en
luz visible (pequeño a la derecha).
En Saturno, una gran tormenta eléctrica que se generó en las últimas
semanas del 2010 todavía circula con gran intensidad.
Según el
astrónomo amateur Christopher Go,
"se ve como un cometa estrellándose
en el hemisferio norte de Saturno". Los investigadores denominan a la tormenta como "perturbación
electrostática del norte" porque,
-
se encuentra en el hemisferio
norte de Saturno
-
está fuertemente cargada de relámpagos
Receptores abordo de la nave Cassini de la NASA están recibiendo
frituras de radio cada vez que se descarga un relámpago - similar a
la estática que se escucha en la radio de un vehículo cuanto
atraviesa una tormenta eléctrica en la Tierra.

Observen el nuevo entusiasmo en los sectores de la astronomía en la
comunidad científica, porque aparentemente hay una cacería por un
gigante de gas con cuatro veces la masa de Júpiter que se cree que
vaga en las afueras de la Nube de Oort, la región más remota del
sistema solar.
Los científicos creen que ya han obtenido prueba de
la existencia de Tyche gracias al telescopio espacial de la Nasa,
Wise, y esperan analizarla.

Pero agregar un nuevo planeta a nuestro sistema solar luego de
desechar a Plutón no es lo que llamó nuestra atención sobre esta
noticia.
El artículo linkeado de arriba dice lo siguiente:
El nombre [Tyche's] fue elegido en referencia a una anterior
hipótesis, prácticamente abandonada en la actualidad, que el Sol
podría ser parte de un sistema de estrellas binario con una
compañera oscura, llamada tentativamente
Nemesis, que fue
responsable por las masivas extinciones sobre la Tierra. En
mitología, Tyche era la hermana buena de Nemesis.
No sería la primera vez, como veremos, que los científicos eligen
(¿o son motivados?) a abandonar una hipótesis que suena perfecta por
algo que requiere una gran cantidad de acrobacia mental, y luego de
años de dicha investigación, sigue dejándonos a oscuras.
¡Quién
necesita un bombardeo cometario para darse cuenta que nos
encontramos en la Edad Oscura del pensamiento creativo!
Lean los
siguientes dos artículos para saber más sobre nuestra compañera
oscura del sol:
¿Se ha visto el Planeta X/Nibiru?
Poniéndonos ASTUTOS (WISE) sobre Nemesis Electric Light Orchestra Cósmica
Se dice que Buda dijo,
"Esta vida de separación podría compararse
con un sueño, un fantasma, una burbuja, una sombra, una gota de
rocío, un relámpago de luz".
Pero en nuestro caso, los relámpagos, o
los fenómenos eléctricos, son exactamente la fuerza necesaria que
podría explicar muchos de los percibidos misterios e inconsistencias
en el clima, en la Tierra y en el Espacio.
¿Recuerdan cómo "todo
está hecho de polvo de estrellas"? ¿Pero que pasa si todo es
altamente eléctrico en la naturaleza? ¿Pensamiento radical dirías?
No, tan solo una de las buenas hipótesis que abandonamos, y que
ahora regresa a la luz después de años de vueltas, y debido a la
necesidad de explicar la acumulación de observaciones "anómalas".
Donald E. Scott dice, que es
cada vez más claro que el 99% del
universo no está hecho de "materia invisible", sino de material en
estado de plasma.
Los reconocidos astrofísicos se ven continuamente "sorprendidos" por
la nueva evidencia enviada por las sondas espaciales y telescopios
en órbita. Eso debería ser una pista de que algo está mal.
La nueva
información siempre envía a los astrofísicos "de regreso al
pizarrón". A la luz de esto, resulta curioso que tengan actitudes
"orgullosas" sobre la infalibilidad de sus modelos actuales.
Esos
modelos parecen requerir un mayor "emparchamiento" cada vez que una
sonda espacial envía datos.
Cuando se enfrentan a observaciones que generan dudas sobre la
validez de sus teorías, los astrofísicos acuden a entidades
pseudocientíficas invisibles tales como estrellas de neutrones,
imperceptibles partículas masivas interactivas, energías extrañas, y
agujeros negros.
Cuando se los confrontan con sólida evidencia como
las fotografías de Halton Arp que contradicen la Teoría del Big
Bang, su respuesta es negarle acceso a cualquier gran telescopio
en EE.UU.
¿Y qué hay de nuestras "bolas de nieve sucias en el espacio"? ¿Cómo
encajan en el cuadro?

Aparentemente, los furiosos mensajeros del
desastre gozaban de una descripción más digna en el pasado.
De
hecho, la naturaleza eléctrica de los cometas o la teoría del cometa
eléctrico tiene sus raíces en muchas de las especulaciones sobre los
cometas del siglo 19.
Según escribe Michael Goodspeed, para la
segunda mitad del siglo 19, muchos científicos creían que las colas
de los cometas eran esencialmente eléctricas.
Por ejemplo, el 11 de agosto de 1882,
English Mechanic and World of
Science, publicó sobre las colas cometarias:
"...parece haber una
sensación velozmente creciente entre los físicos de que tanto la luz
propia de los cometas como el fenómeno de sus colas pertenecen al
orden del fenómeno eléctrico".
Uno de los mayores canales de la reconsideración independiente de la
electricidad y el magnetismo en el espacio proviene de 1950, con la
publicación de Mundos en Colisión de
Immanuel Velikovsky.
El
controversial teórico había propuesto una idea extraordinaria.
Sugirió que, solo unos pocos miles de años atrás, el planeta Venus
apareció en el cielo como un gran cometa.
La teoría fue ridiculizada por la ciencia reconocida, ya que todos
los científicos bien acreditados "sabían" que los gases no podían
escapar de un cuerpo del tamaño de un planeta para producir la clase
de "cola cometaria" que Velikovsky había visionado.
Velikovsky no
ignoraba la "velocidad de escape" citada por los físicos, pero su
revisión de los registros antiguos le sugirió que nuestros ancestros
fueron testigos de una actividad eléctrica extremadamente intensa en
el cielo, incluyendo el arco eléctrico entre planetas que se mueven
en cursos inestables.
Velikovsky dijo que la única forma que la evidencia pueda
reconciliarse con el conocimiento científico actual sería a través
de la consideración del electromagnetismo.
Pero ya que Atando Cabos trata de indicar las señales y su relación
con el cuadro completo, utilizaremos
el trabajo de James McCanney y
su investigación sobre el Planeta-X, la teoría de los cometas
eléctricos y la naturaleza eléctrica de los cambios para resumir los posibles efectos de los cuerpos cometarios cargados
eléctricamente sobre nuestro planeta.
Lejos de sorprender, James McCanney, de igual manera que Velikovsky, sufrió el destino de todo
científico que intenta ir contra la corriente.
Él escribió:
En la actualidad estamos descubriendo los remanentes de...
sociedades antiguas.
Había enormes ciudades en lo que hoy llamamos
Sudamérica mucho antes de la denominada Era de Hielo o del supuesto
cruce del Estrecho de Bering por parte de tribus de cazadores. Lo
que estamos aprendiendo es que la historia que se enseña como
"conocimiento estándar" está completamente equivocada.
Existe un
tremendo esfuerzo en numerosos sectores de la sociedad moderna para
evitar que se diga la verdad de nuestro verdadero pasado. Los
asientos del conocimiento en nuestras universidades, ciertos centros
religiosos y los gobiernos de la sociedad occidental hacen todo lo
posible para evitar que esta información llegue al público general.
Ellos temen que este conocimiento libere a la gente de la dominación
bajo la cual se encuentran.
Lean
Planeta-X, Cometas y Cambios Terrestres por J.M. McCanney, una
extensa investigación de su trabajo que explicará muchos de los
conceptos del universo eléctrico, como el modelo de descarga de
plasma, el condensador estelar o solar, el dípolo eléctrico rojo
inducido, etc.
Lo que es importante que nosotros comprendamos es que un cometa no
necesita colisionar con la Tierra para que experimentemos sus
efectos. Las grandes llamaradas solares generadas por las
interacciones eléctricas con los cometas, corrientes eléctricas que
fluyen hacia la Tierra, y las ondas gravitacionales pueden todas
tomar su turno.
Este fenómeno de "acción a distancia" puede producir
climas y tormentas extremas, volcanismo, terremotos, inundaciones,
contaminación (por ejemplo, pandamias, plagas, "Peste Negra",
lluvias de fuego, etc.), cambios en los polos, extinciones en masa,
lluvias de meteoros, surgimiento de montañas, y grandes descargas
eléctricas entre la Tierra y el paso de un gran cometa.

La punta del Cometa Arend-Roland que apunta hacia el sol – un rayo
de electrones de alta energía
que conecta al cometa en descarga y el
Sol.
También tenemos una lista de posibles efectos, según McCanney, que
pueden ocurrir meses y años antes del paso de un objeto tipo
Planeta-X (o un cometa del tamaño de un planeta):
-
Violentas tormentas con
excesivos relámpagos, viento y agua (llegados desde el
espacio de la forma que lo hacen los cometas)
-
Degradación o eliminación completa de infraestructuras e
instalaciones
-
Grupos de ciclones, destruyendo propiedades
-
Lluvias torrenciales y
deslizamientos de tierra, causando masivas inundaciones
-
Fuertes vientos y huracanes en
tierra, arrasando la Tierra y su vegetación (que luego
producirá carbón)
-
Clima errático, como nevadas en
los trópicos
-
Influjo de químicos tales como
agua, amoniaco e hidrocarburos
-
Contaminación del suministro de
agua
-
Descargas eléctricas visibles
entre planetas y lunas
-
Coloridas auroras, sonidos
similares a los de una trompeta y silbidos causados por las
descargas
-
Frecuentes inversiones
magnéticas permitiendo el ingreso a nuestra atmósfera de
partículas radiactivas, causando mutaciones genéticas y
nuevas especies
-
Menor actividad del Sol,
conduciendo a una mini Edad de Hielo
-
Impactos de corrientes de
meteoritos
-
"Plagas" a medida que las
corrientes obligan a insectos y alimañas a salir de la
tierra
-
"Pilares de fuego" a medida que
la Tierra forma una conexión eléctrica con el Planeta X,
quemando la Tierra y causando ruidos ensordecedores
-
Si el objeto es más grande que
la Tierra, pérdida de atmósfera y océanos; si es menor,
eventos masivos de contaminación
-
Cambio físico de polos,
desplazando continentes y causando el congelamiento
instantáneo de animales (por ejemplo, Mamuts) y produciendo
terremotos y la erupción de antiguos y nuevos volcanes
-
Lo mencionado resultando en una alteración de órbita, rotación, e
inclinación de la Tierra, requiriendo una re-calibración de nuestro
calendario (para lo cual McCanney brinda instrucciones prácticas en
el informe)
Toda la información de más arriba llega tras años de tedioso y
laborioso proceso.
Comprender nuestra realidad y sus mecanismos no
es tarea fácil y generalmente no es para los temerosos, o para
aquellos que se dan por vencidos fácilmente, y en lugar de
perseverar en su búsqueda por la verdad adoptan respuestas ya
establecidas por el sistema, ¡el cual existe para evitar que nadie
obtenga un destello de las cosas como realmente son en primer lugar!
Es un triste estado de las cosas, y en última instancia, trágico.
Aquí hay un ejemplo de las Comunicaciones Superluminales con fecha
31 de octubre del 2001, que muestra cuánto tiempo y constante
investigación requiere el utilizar un 10% de inspiración y ver si
existe algún tipo de respaldo de ello en la realidad.
Como resulta
ser, sí la hay, y mucho más.
P: (A) Ahora, el mayor, el cambio de la orientación del eje, ¿cuál
sería el principal disparador, fuerza, o actividad, o qué clase de
evento disparará este cambio de eje? R: Cuerpos cometarios.
P: (L) ¿Irán los planetas del sistema solar a salirse de sus órbitas
y desplazarse aleatoriamente? ¿Es esa una posibilidad? R: Si.
P: (A) ¿Debido solamente a las órbitas cometarias? R: Si. Sol gemelo también.
P: (A) Cuando hablamos de estos cuerpos cometarios, ¿estamos
hablando de impactos? R: Algunos impactarán.
P: (A) ¿Cuál sería - de existir - el rol jugado por los fenómenos
eléctricos? R: El sol gemelo establece el flujo de corriente a través de todo el
sistema encendiendo el "motor".
P: (L) ¿Significa esto que todos los diversos cuerpos del sistema
solar son como partes de alguna clase de máquina gigante, y una vez
que esta corriente eléctrica fluye a través de ellos, dependiendo de
sus posiciones relativas de unas con otras al momento que esta
corriente fluye, ejerce cierta influencia en la manera que esta
máquina funciona? R: Si, aproximadamente.
Oh Cometa Elenin, ¿dónde estás?
Se avecinan tiempos electrizantes, y uno de esos eventos que vale la
pena prestar atención debido a la posibilidad de sus catastróficos
efectos en la Tierra, es el acercamiento del
Cometa Elenin.
Se lo
llama Elenin ya que fue descubierto por Leonid Elenin, y su más
cercano paso al Sol se espera para la primera mitad de septiembre
del 2011. También hay algunas cosas sobre este cometa que son
extremadamente interesantes a la luz de la teoría de plasma de James
McCanney, y ya hemos notado que comenzó a causar efectos perturbando
el condensador solar y estimulando el flujo eléctrico.
Justo antes del alineamiento del Cometa Elenin el 15 de marzo, hubo
un terremoto en China, uno enorme en Japón (8.9), una nueva tormenta
de invierno en Turquía y en Grecia y otra erupción volcánica en
Indonesia. También observamos una
llamarada solar de clase X el 9 de
marzo.
Todas estas cosas podrían estar relacionadas con el
acercamiento del Cometa Elenin.
Lean los siguientes tres artículos para ponerse al día con la
información disponible sobre el cometa, incluyendo trayectorias y
fechas de futuros alineamientos.
También visiten el blog de Laura
Knight-Jadczyk para otras actualizaciones.
Revelación y la disolución del velo
Algo a lo que la comunidad alternativa está prestando atención es a
los Ovnis.
Deberían, ya que nosotros estamos entre los primeros en
reconocer que toda la evidencia apunta a la existencia de seres
inteligentes no-humanos presentes en, o alrededor de nuestro planeta
sin demasiado amor ni verdad para compartir con nosotros, personas
ganado. Seres que no solo poseen capacidades tecnológicas mucho
mayores que nosotros sino que también parecen venir no exactamente
desde el espacio exterior sino de una dimensión superior.
Por esta razón, estos alienígenas serían mejor descritos como
'demonios' o 'monstruos' en lugar de 'extraterrestres'.
Si esta es
la primera vez que te cruzas con esta razonablemente extraña idea,
quizás sea demasiado para aceptar de una vez. Nos hubiese gustado
tener el espacio para explicarla detalladamente en esta entrega,
pero no lo tenemos.
En lugar de ello, les recomendamos
este
excelente video documental que resumen los principales puntos.

"Los alienígenas están actualmente entre nosotros,
y nos observan
todo el tiempo”, Sr Filipov a los medios búlgaros.
Sin embargo, nos molestamos cuando vemos que algunas de las mejores
mentes ufológicas (y otras) se involucran con la idea de una
'inminente revelación'.
Saben ustedes, que algún día el hombre
detrás del telón, que tiene su oficina principal enterrada bajo el
Área 51 decidirá que nosotros, la gente común, después de todo tiene
el derecho a saber, así que él le entregará amablemente la
información a Obama, quien revelará todo lo que saben sobre Ovnis y
alienígenas.
Como si la gente en los niveles más elevados y secretos de la elite
sintiera arrepentimiento por mentirnos tan consistentemente y
durante tantos años. O como si ya simplemente no pudieran controlar
la verdad y tuvieran que aceptarlo.
Ciertamente, gradualmente se están
publicando documentos y los
informes de avistamientos son más o menos debatidos abiertamente en
los medios, y con menor ridiculización. Hubo un reciente aumento en
las referencias a Ovnis, extraterrestres y exopolítica en los
principales medios.
El rumor ha sido exacerbado a medida que
falsos 'eventos' aumentan la histeria a través de artículos de
periódicos y programas de TV. ¿Están quienes detentan el poder
preparando a la gente para la 'revelación'?
A medida que la frecuencia de avistamientos de Ovnis y el factor de
eventos extraños relacionados se incrementan mes a mes, notamos un importante incremento de artículos en los
grandes medios sobre visitantes "extra-terrestres".
Un ejemplo es el Daily Telegraph inglés.
En su cobertura de la conferencia de la
Sociedad Real Británica sobre "La detección de vida extraterrestre",
los artículos de The Telegraph sorpresivamente se abstuvieron de las
estereotipadas caricaturas de pequeños hombres verdes de Marte
generalmente utilizadas para ridiculizar a los millones de testigos
Ovni, y en lugar de ello trataron algunos temas de manera
inteligente citando la investigación de astrónomos y físicos.
Ver:
Pero si por un segundo creen que habrá una 'revelación', no será
otra cosa que una mezcla de medias verdades con mentiras. Como
siempre.
Si alguna vez somos testigos de la 'revelación' durante
nuestra vida, se vería similar a esto:
En
Desclasificación y Cometas, Laura Knight-Jadzcyk señala un
interesante punto respecto a la revelación.
Con todas las repercusiones concernientes a la "Desclasificación"
que hay por todos lados, no puedo evitar preguntarme por qué
aquellos interesados en este tema parecen no ver el mayor
encubrimiento de todos: cometas/asteroides pertubadores/destructores
de la historia....
Algunas de las recientes tendencias hacia la "Desclasificación"
parecen incluir información proveniente de 'fuentes gubernamentales'
que han contado sus historias, o han susurrado pistas de la
sorprendente tecnología que nos espera cuando este evento
'inevitable' suceda. Lo siento, pero creo que todo ello es
pensamiento deseoso.
¿Por qué? Porque lo interesante para mí es el
hecho que, con todo el registro de documentos del gobierno y
conspiraciones y demás, pareciera que nadie les ha mencionado a
quienes traen la "Desclasificación" lo interesado que el gobierno
está por los impactos cometarios. [...]
El enfoque de aquellos que promueven la "Desclasificación" refleja
la carencia general de conocimiento de los problemas que enfrentamos
que son reales y mucho más urgentes que la presencia de alienígenas
en nuestro planeta. Mike Baillie señala que todavía existe una
enorme ignorancia de los peligros incluso dentro de la comunidad
arqueológica. Todavía no existe un paradigma arqueológico o
histórico para tratar con la presencia histórica y la influencia de
los impactos.
Esto es particularmente problemático respecto a la
"Desclasificación" ya que extraños avistamientos en el cielo y
extraños seres y eventos acompañaron históricamente a los sucesos
cometarios.
Es como si cierta puerta dimensional se abriera frente a
los cometas/asteroides.
La revelación, como verán, no solo debe ser honesta (o medianamente
honesta) - también puede ser utilizada para distraernos de otras
amenazas cósmicas. Observen que Laura Knight-Jadczyk comenta que los seres extraños
llegan como un extra junto con el paquete cometario.
A la luz de
ello, aquí tenemos una selección de algunos de los últimos artículos
de alta extrañeza que llamaron nuestra atención:
Entre las cosas más extrañas documentadas en video estuvo el Ovni
sobre Jerusalén (con al menos cuatro videos diferentes tomados de
diversos ángulos, y un par más probablemente falsos para
desacreditar la historia); así como también un extraño meteorito con
mente propia.
Vean:
El fin del mundo como lo conocemos
Habitualmente SOTT es acusado de diseminar temor y negatividad, y
los editores de SOTT son tildados de predicadores del desastre.
Opinamos que nuestros acusadores carecen de comprensión de lectura
básica, ya que cada artículo, más allá de lo serio y alarmante,
posee tintes de esperanza y amor por la verdad. Esta edición de
Atando Cabos no es diferente. Esperamos y trabajamos activamente
hacia algo mejor en estos tiempos de mediocridad, y sinceramente
deseamos que nuestros esfuerzos también beneficien a nuestros
lectores.
Además, a menos que tu cerebro ya se haya transformado en tapioca
por creer en mentiras, si echas un prolongado y minucioso vistazo a
tu alrededor, quedará claro que nuestro mundo se encuentra en un
estado extremadamente penoso, y a menos que se efectúe una completa
revaluación y se tomen activas decisiones hacia algo distinto la
situación no cambiará.
Respecto a esto, lo que sea que se cruce en
nuestro camino es más que una bendición, porque al igual que con
cualquier otra adicción difícil de superar, romper las antiguas
estructuras establecidas requiere de ayuda y apoyo externo.
Lo que nos espera no va a ser fácil, pero como dijo
Charles Caleb Colton,
"Los tiempos de grandes calamidades y confusión han sido
productivos para las más grandes mentes. El material más puro se
produce en la fragua más caliente. El relámpago más brillante emerge
de la tormenta más oscura".
También optamos por tratar la situación con humor, aunque sea con un
tipo de humor de sala de emergencia.
Cuando el escenario ya está armado, se
apagan las luces y sube el telón, mejor sentarse en primera fila y
disfrutar del espectáculo:

|